Pages

28 de octubre de 2023

Tormenta tropical "Philippe" apunta rumbo Oeste, amenazando, con mucha posibilidad, con tocar el Territorio de República Dominicana.

 



Esta es la trayectoria de la tormenta tropical "Philippe", temprano en la mañana de hoy, la que mantiene  rumbo que apunta hacia  Puerto Rico y  República Dominicana. Todo de acuerdo a los últimos análisis meteorológicos.

La tormenta tropical "Philippe, en estos momentos, mantiene un rumbo que apunta a Puerto Rico y a Puerto Rico y  República Dominicana. De acuerdo a los últimos informes, el sistema meteorológico se ha movido hacia el oeste franco, con una ruta  que apunta al Norte de  las Antillas Menores, donde se acercará o tocará  este sábado en la mañana.

De acuerdo a los modelos de pronóstico de las últimas horas, "Philippe", de acuerdo a los informes, el fenómeno perderá fuerzas antes de llegar a nuestra zona de pronóstico y es probable, que sea una depresión cuando se aproxime al norte de Puerto Rico, el domingo», así como a República Dominicana. 

Sin embargo, manténgase bien pendiente de las informaciones provenientes de los órganos oficiales responsables de brindar información oportuna en relación al referido fenómeno meteorológico.

De acuerdo a los estimados provenientes de los órganos oficiales, la Tormenta  "Philippe", debiera estar tocando  la Región Este de República  Dominicana a partir del próximo Lunes, alcanzando las provincias del La Altagracia, La Romana, San Pedro de Macorís y Samaná. Por supuesto, estos son pronósticos que pudieran variados por otros puntos, todo dependiendo de la evolución del fenómeno atmosférico.     

Le reiteramos, mantenerse  bien pendiente a los avisos provenientes de los organismos oficiales  como son ONEMET, así como a las agencias gubernamentales encargadas de proteger vidas y propiedades. "En ocasiones, estos fenómenos se muestran impredecibles".


10 de septiembre de 2023

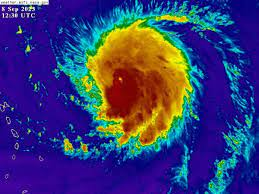
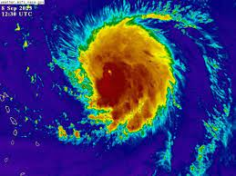
Huracán LEE, mantiene su rumbo, conforme a los datos brindados por los órganos , que tienen que ver con estos fenómenos


La foto muestra la configuración del Huracana LEE, fenómeno que se mueve en dirección Noroeste para pasar, ligeramente al Norte de las Isla de las Antillas Menores.  De todos modos manténgase pendiente de las informaciones provenientes de los órganos oficiales que dan seguimiento al fenómeno.


Informe validos este Domingo 10 de septiembre de 2023 a las 6:00 p.m. Válido hasta el martes 12 de septiembre de 2023 a las 6:00 p.m. Aguaceros asociados a los efectos del Huracán Lee, hasta primeras horas de esta noche 10 de septiembre y  oleaje impactando la costa Sur del la  Isla Hispaniola, mayormente en la costa Norte,

El fenómeno atmosférico estará desplazándose en los próximos días sobre aguas abiertas del Atlántico a más de 500 km al noreste del país, sus vientos con fuerza de tormenta tropical se extienden a unos 280 km fuera de su centro, mientras que los vientos con fuerza de huracán a tan solo unos 75 km fuera de su ojo. Por tanto, este sistema meteorológico no tendrá incidencia directa sobre nuestro territorio a pesar de que se espera otra vez un fortalecimiento del mismo en los próximos días.

El huracán LEE se localiza a unos 450 km al nor/noreste de las islas de Sotavento, Antillas Menores, con vientos máximos sostenidos de 195 km/h siendo categoría 3 en la escala Saffir-Simpson y se mueve hacia el oeste/noroeste a unos 13 km/h. Se recomienda estar atentos a las informaciones sobre este ciclón tropical, dado que en la ONAMET seguimos dando estricto seguimiento a la evolución y desarrollo de este sistema.

Durante esta tarde, dicho fenómeno ha generado un flujo de viento del noreste sobre el Caribe (incluyendo la República Dominicana), aportando condiciones favorables que en combinación con una vaguada que incide sobre el país, genera nublados con aguaceros fuertes en puntos aislados, tormentas eléctricas y ráfagas de viento que estarán presentes hasta las primeras horas de la noche, en provincias como: El Gran Santo Domingo, La Altagracia, San Pedro de Macorís, Monte Plata, Azua, San Juan, Independencia, Bahoruco Elías Piña y Dajabón.

 Para mañana lunes, las condiciones meteorológicas serán muy similares a las del día de hoy, se espera que LEE mantenga un flujo de vientos generalmente de componente norte sobre nuestro territorio que se combinará con los efectos de la vaguada en altura, por tanto, habrán algunos chubascos en las horas matutinas en provincias próximas a la costa Norte, mientras que en la tarde se observarán aguaceros dispersos, tronadas y posibles ráfagas de viento hasta las primeras horas de la noche en poblados pertenecientes a El Gran Santo Domingo, La Altagracia, San Pedro de Macorís, Monte Plata, San Cristóbal, San José de Ocoa, Azua, Barahona, La Vega, Monseñor Nouel, Santiago, San Juan, Elías Piña y Dajabón.

La Tormenta Tropical MARGOT se localiza a unos 1,895 km al oeste/noroeste de las Islas de Cabo Verde, vientos máximos sostenidos continúan en 100 km/h, moviéndose hacia el norte a 15 km/h.

También se vigilan dos áreas de aguaceros y tronadas, la primera ubicada a varios cientos de kilómetros al suroeste de las Islas de Cabo Verde, con probabilidad de 20 % para alcanzar la categoría de ciclón tropical en las próximas 24 horas. La segunda, sobre las costas Africanas con un potencial actualmente muy bajo para alcanzar la categoría de ciclón tropical en los próximos días.




8 de septiembre de 2023

Tormenta Margot avanza hacia aguas del Mar Caribe , con tendencia a fortalecerse.

 



El Huracán Lee y Tormenta Margot avanzan rumbo al Caribe con tendencia a fortalecerse. Manténgase pendientes a las informaciones provenientes de los órganos oficiales encargados de  brindar información sobre estos fenómenos atmosféricoscomo son  ONAMET Defensa Civil , entre  otros.

Huracán Lee avanza con un rumbo que le llevaría, directamente, a la Zona de área Norte  del Caribe, como una poderosa tormenta o Huracán. A Lee le sigue la tormenta Margot. Posición día 07 de septiembre 2023, hora 10:40 a.m.

Todo  parece indicar que el Huracán Lee,   se    intensificará, según se desplace a      la    Zona del Caribe    el viernes,   convirtiéndose en una poderosa    tormenta o huracán   categoría          5. En estos momentos, parece que el fenómeno        tiene      vientos      máximos       sostenidos destructivos de 265 km/h    mientras gira   a    cientos de kilómetros al este del Caribe, región a la que se aproxima.

Lee,  hasta hace poco,  era una tormenta de categoría 1(uno) el jueves, se ha intensificado, gradualmente,  con una velocidad excepcional en las aguas cálidas , duplicando la velocidad de sus vientos en periodo de, apenas,  24 horas.

El huracán se encontraba a unos 1000 kilómetros al este del Norte de las Islas de Las Antillas Menores, dijo el centro de huracanes este viernes en la actualización de las 5 de la mañana, hora Miami.

El Huracán LEE y la Tormenta Margot, desfilan apuntando  rumbo a la Región  del Caribe, para pasar, por ahora, al Norte de la Isla Hispaniola,  para luego dirigirse rumbo al Noroeste, apuntando la Costa Este de Estados Unidos.

Según los pronósticos, parece que  el centro del Huracán Lee pasará al norte de las Islas de Sotavento, las Islas Vírgenes y Puerto Rico este fin de semana y principios de la próxima semana. Como consecuencia de ello, en algunas de estas islas del Caribe Oriental,  podrían producirse condiciones de tormenta tropical, olas potencialmente mortales y corrientes de resaca durante el fin de semana, por lo que se aconseja tener precaución, en la cercanía de la línea de costa.


Proyección de la posible trayectoria  de la Tormenta LEE, a su paso por la Zona de Caribe Central. De acuerdo a los mismos, el fenómeno pasaría, ligeramente, al Norte de Republica Dominicana. De todos modos, manténgase bien pendiente de los datos actualizados sobre el fenómeno, provenientes de  ONEMET, Defensa Civil y otros órganos oficiales que tienen que ver con el seguimiento de estos fenómenos. 

De acuerdo a la proyecciones del ONAMET, las tendencias de los modelos informáticos para Lee, estos  muestran que el huracán girará hacia el Norte a principios de la próxima semana, por lo que, en apariencia, pudiera pasar al Norte del Archipiélago de las Islas Menores.  Sin embargo, no deje de dar seguimiento a posibles cambios de dirección del fenómeno, que puedan ocurrir.   

Sin embargo, el momento exacto en que se produzca ese giro, así como la distancia hacia el oeste que consiga alcanzar Lee,  para entonces influirán, enormemente, en su aproximación al territorio de  Estados Unidos.

Pasado el mediodía de hoy, viernes 8 de septiembre, ya veremos la proyección de la trayectoria definitiva, que describirá el fenómeno en nuestra aérea de pronóstico.

El huracán Lee cobró fuerza y alcanzará  la categoría 5, con vientos que podrían llegar a máximas de 257 kilómetros por hora,  cuando se acerque desde el Atlántico al Este del Caribe, según informó el pasado jueves 7 de septiembre el Centro Nacional de Huracanes de EE.UU. (NHC, por sus siglas en inglés).

De todos modos, manténgase bien  pendientes a las informaciones provenientes de los órganos oficiales, encargados de brindar información actualizada en relación a la evolución del fenómeno atmosférico en progreso.

 










3 de septiembre de 2023

Temporada de Huracanes en la Región del Caribe parece reatibarse

 

Vacaciones en temporada de Huracanes en el Caribe, parece intensificarse.

Si usted viajas en el periodo entre el mes de junio, hasta noviembre , tenga, bien en cuenta que  puede que te sorprenda algún huracán, pues u otro  fenómeno de la naturaleza, que tradicionalmente  suelen golpear, en estas fechas, lugares como la Reviera Maya, el  Caribe Central como el área ,  Cuba , República Dominicana, Centro América y la Costa Este de Estados Unidos de Norteamérica.

Fíjese, en éstos momentos, hoy septiembre 3.  Se trata de varios fenómenos atmosféricos que evolucionan hacia aguas del Caribe, amenazando con convertirse en tormentas y, posiblemente, huracanes.



Como pueden ver en la foto MET, tenemos 4 (cuatro) fenómenos meteorológicos que evolucionan rumbo al Caribe central. Dos (2) de ellas ya son tormentas tropicales y otras son sistemas de baja presión, con posibilidades de evolucionar a ciclones tropicales en los próximos dias. La toma es de hoy 03 de septiembre del 2023.

 Así es como se presenta en la toma fotográfica, en estos momentos 4 (cuatro) fenómenos atmosféricos, relacionados con tormentas y ciclones, evolucionan en el Atlántico central, rumbo a las aguas del Caribe. Por todo lo anterior manténganse bien pendientes de las informaciones oficiales provenientes de ONEMET y otras dependencias, las que tienen que ver con del estado del tiempo y la evolución de estos fenómenos atmosféricos.  

 Mucha atención, sea precavido, antes de organizar un viaje deberá que tener bien en cuenta gran cantidad de factores y, sin dudas, el clima y los fenómenos meteorológicos son de aquellos datos a los que habrá que darle gran importancia y, más aún, si lo que se ha elegido es un destino en el que la playa es uno de los principales atractivos.

 De este modo, aquellos que deseen pasar sus vacaciones en el Caribe, deberán prestar mucha atención a la llamada temporada de huracanes. Es que si bien la mayoría de los hoteles de estos destinos se encuentran preparados para afrontar la fuerza del viento y la lluvia, no es la idea de ningún turista el pasar su estancia dentro del hotel sin siquiera poder mirar por la ventana.

Entonces, sin dudas, el dato para tener en cuenta a la hora de planear una visita al Caribe es que la temporada de huracanes se extiende desde el 1 de junio y hasta el 30 de noviembre, aunque según los estudios y las estadísticas son los últimos tres meses los más peligrosos y con mayor índice de tormentas.

Siendo septiembre el peor mes, en materia golpeo  de los fenómenos meteorología. Claro que, al tratarse de meses "riesgosos" es esta la temporada más asequible. Por ello, los viajeros que se vean tentados por los precios, deberán primero averiguar qué tormentas y de qué intensidad serán aquellas que se presenten durante los días en los que se encuentren en la playa elegida. En tanto, otro dato a tener en cuenta es que la zona sur del Caribe, en la que se alzan islas tales como Aruba, Bonaire, Curaçao o Trinidad y Tobago, es un sector protegido que se encuentra debajo de la zona de huracanes. En consecuencia, un lugar seguro.

Temporada de huracanes 2013;  Importante.

La temporada de huracanes 2023 en la Región del Caribe acaba de comenzar, es por ello que será interesante saber qué es lo que se ha pronosticado para este año. Entonces, de acuerdo a las previsiones, la temporada sería "casi normal", con la formación de entre 9 y 15 tormentas tropicales, de las cuales entre 4 y 8 podría llegar a alcanzar fuerza de huracán. En tanto, del total de huracanes que se formarían, entre 1 y 3 alcanzarán las categorías 3, 4 y 5, las mayores en la escala de intensidad -Saffir-Simpson- cuyo valor máximo es de 5.

De todos modos al planificar cualquier viaje en la Región del Caribe, antes de iniciarlo, cerciórese de investigar las condiciones del tiempo proyectadas en ese periodo,  para la región que Usted  y los suyos han elegido para disfrutar de  sus merecida vacaciones del 2023.

Que la pase bien  en sus vacaciones, sin embargo, estén bien  pendiente del factor meteorológico.

31 de agosto de 2023

Han sido geniales, durante mucho tiempo han estado en la TV y el cine Mexicano.

 



 De izquierda a derecha, Don Ramón. Chespirito, El Profesor Jirafales y La Chilindrina. Que mas podremos pedirle a estos genios. 

30 de agosto de 2023

Aeropuerto El Dorado, Bogotá, Colombia; Despachadores de Vuelo, esperamos abordar vuelo de retorno a Sto. Domingo.

Despachadores responsables de brindar los servicios de despacho de vuelos a la colombiana AVIANCA

 Dominicana de Aviación brindaba los servicios en tierra a muchos operadores del transporte aéreo a nivel regional y más allá.  En este caso, habíamos viajado a la base de operaciones de la aerolinea AVIANCA de Colombia, donde recibíamos entrenamientos y secciones de resfrescaminto recurrente. para trabajar la flota del Operador  AVIANCA. 

En esa direccion viajábamos a Bogotá, Colombia donde permanecíamos por una semana, recibiendo la actualización requerida, lo que tomaba una semana. Una vez terminado el proceso, regresábamos a Santo Domingo y continuábamos brindando el servicio a la linea aérea AVIANCA de Colombia.    

Come pueden notar, al frente, la toma capta., de izquierda a derecha;  a Ignacio de los Santos Mullix y Fernando Cruz Pineda. Inmediatamente de pie, detrás de Ignacio,  Addan Bodden Fernandez, CTA Pascasio Toribio Peralta,  CTA Santo Tomas Concepción Guzmán, Cta. Duarte Yapour Castillo y  por ultimo, una muy atenta damas que tuvo a bien acompañar a sus compañero de vida. 

Eran otros tiempos, cuando el pais operaba proyecto de linea aerea importante. Para entonces, Dominicana de Aviacion CDA, dominaba del mercado de pasajeros, llegando y saliendo del país. Desafortunadamente, factores que nada tienen que ver con el mercado hizo que la estatal linea aérea desapareciera 



29 de agosto de 2023

Actual temporada de Huracanes parece no nos quiere dejar en blanco; detras de Franklin nos envía a Idalia

 

La foto muestra la evolución de los fenómenos meteorológicos  que se desplazan en aguas del Caribe y del Atlántico en sus trayectorias que, en apariencia, los aleja de nuestra área de pronostico. 


Tormenta Idalia se desplaza al Noroeste de la Isla de Cuba. Su trayectoria se asemeja 

Ltormenta tropical Idalia se ha fortalecido  este martes,  hasta convertirse en huracán y se dirigiéndote  hacia la costa del Golfo de Florida, según el Centro Nacional de Huracanes de Estados Unidos. Sin embargo, por el momento, el fenómeno no representa peligro para República Dominicana, proyectando impactar en el extremo Oeste de la isla de Cuba. 

Por lo que aparente y lo pronosticado por el Centro de Huracanes de Miami, en estos momentos,  el fenómeno se dirige rumbo Nordeste para,  luego encausarse rumbo Este, describiendo una  trayectoria muy .......parecida al la trayectoria del  Huracán. por el momento, el pasaría bien al Norte de la Isla La Hispaniola, por lo que, en apariencia, no ofrece peligro para República Dominicana. 

De todos modos, manténgase bien  pendiente de las informaciones provenientes de los órganos oficiales como son ONAMET y otras dependencias gubernamentales, las  que tienen que ver con la información en relación a éstos fenómenos.   


25 de agosto de 2023

Las Estrellas de Fenia o la reunión de los mejores saleros del mundo

 


Parte de los músicos que han formado  parte de las Estrellas de Fania, en diferentes etapas de la vigencia  del  extraordinario conjunto.   

Después  de 50 años  de  su  nacimiento, la SALSA    sigue teniendo un  repertorio  musical  muy  popular,  tanto    en  el   ámbito  de  América Latina como en todo el mundo. Como pueden notar, en la foto se muestran algunas  figuras   emblemáticas el genero salsa, entre ellas;   Jonny  Pacheco, la   Reyna  Celia    Cruz, Héctor   Lavoe,Joe   Motoro,  Piter  Conde    Rodríguez, Willie   Colón,  Ismael  Rivera, Ismael   Miranda  T¡to Nieve, entre  otros    muy talentosos    artistas,  parte de      "Las Estrellas de Fania", que   aun,  siguen   sonando  en todo  el mundo.  



Vista del famoso estadio Yankee Stadium, localizado en el condado del  Bronx, Nueva York

El Yankee Stadium es un recinto deportivo ubicado en el distrito de El Bronx, al norte de la ciudad de Nueva YorkEstados Unidos de Norteamérica. La facilidad acoge los partidos que disputan como locales los  New York Yankees, las Grandes Ligas de Béisbol (MLB) y el New York City Football Club de la Mayor League Soccer (MLS). El  estadio  tiene una capacidad para 54,251 espectadores. Inaugurado en 2009, suplantó al estadio del mismo nombre que funcionó en el período 1923-2008, y estaba anexo al actual estadio en su parte Sur.


En términos generales, el  Yankee Stadium   posee características que evocan al antiguo  parque de  béisbol,    aunque un 63 por ciento   más grande2 más varias incorporaciones modernas. Es  el   inmueble más caro jamás construido en la historia del béisbol;  y el segundo recinto deportivo, a nivel mundial, detrás del Estadio de Wembley.

Hace 50 años sucedió un acontecimiento que marcó un antes y después en la música tropical. Muchos se preguntan cómo se orquestó el famoso movimiento que concluiría con la adopción de un nombre meramente mercadológico y comercial de los diferentes ritmos ya existentes desde hace muchos años, como son los casos de la guaracha, el son, el guaguancó, el mambo, la charanga, el "boogaloo" y otros sonidos afro caribeños que finalmente adoptarían el nombre “salsa”.

Corría el año 1964 cuando Johnny Pacheco junto al norteamericano de ascendencia judío-italiano Jerry Masucci fundan el sello disquero Fania All S fania  All Star  con el nombre  Fania.   Tanto Pacheco como Masucci hicieron un aporte monetario y además,  el músico dominicano ponía su talento para reunir en poco tiempo los mejores músicos y cantantes del ambiente neoyorquino.

A partir de ahí se inicia la firma de la élite de los músicos y cantantes para ejecuciones y grabaciones de orquestas como la de Ray Barreto, Larry Harlow, Joe Battan, Bobby Valentín, Willie Colon, entre otros.

En 1968 y 1969 se publican los álbumes (LP) de la Fania All Stars, grabados en vivo en un galpón llamado Red Garter, que sirvió de escenario para que la Fania se reuniera, por primera vez.

En el encuentro musical las estrellas del momento en la Fania se reforzaron con músicos de la Tico Alegre All Stars, como Tito Puente, Eddie Palmieri, Ricardo Ray y Jimmy Sabater, entre otros. Los dos discos titulados “Live at the Red Garter”, Vol. 1 y Vol. 2, contenían descargas-jazzísticas con pocos destellos salsosos.

Pasaron tres años y el jueves 26 de agosto de 1971 volvieron a reunir sus estrellas, ahora en el salón del club Cheetah, para un animar un  concierto-baile con una perspectiva del barrio que sería filmado como parte de un documental llamado “Our Latin Thing” (Nuestra Cosa Latina), con la dirección de León Gast, con la reunión de los músicos y cantantes hispanos, en donde se iniciaría el movimiento musical denominado “El Sonido de Nueva York”.

Ahora existía una considerable diferencia con respecto a la reunión anterior de carácter jazzístico, pues la música trabajada en los dos discos y el “sound track” de la película producto de esa reunión eran de vital importancia para este documento histórico. En esa ocasión la Fania no buscó refuerzos de otras casas disqueras para su proyecto, pues tenía artistas bajo su tutela con suficiente solvencia musical, aprecio del público neoyorquino y con ventas de discos respetables.

El propósito primordial de la Fania al filmar la película titulada “Our Latin Thing” (Nuestra Cosa Latina) y grabar el evento del concierto en el Cheetah era afianzar el denominado sonido de Nueva York y llevar su producto a los cines de la urbe norteamericana y los pueblos latinos del Caribe y del territorio continental de  Américas Latina y el mundo, así  como  promover sus artistas y el catálogo musical de la compañía.

El 24 de agosto de 1973, hace justo 50 años, la Fania All Stars se reúne, por tercera ocasión, en un gran concierto en el Yankee Stadium al cual asistieron más de 40 mil espectadores. Tuve la oportunidad de asistir a una de sus presentaciones, precisamente,  en el Yankee Stadium de NYC, donde disfruté del talento musical de estos músicos y del concierto brindado por  las famosas Estrellas de Fania.

Tremendo el trabajo de nuestro Jonny Pacheco en la integración de este famoso conjunto del género musical denominado "salsa", que ha recorrido todo el mundo, llevando consigo, el ritmo de uno de los géneros musicales más populares del planta. A pesar del tiempo, la música de La Fania All Star, se mantiene en la radio y muchos de sus artistas aún componen y realizan presentaciones esporádicas, las que despiertan el interés de las gentes, siempre dispuestas a asistir a sus espectáculos musicales, espectáculos que las gentes respalda.

He querido compartir con todos ustedes este trabajo, parte del cual fue publicado por el medio Listin Diario en una reciente edision de ese prestigioso medio,  el 25 de agosto del 2023, genero muy popular en Latinoamérica , incluyendo, por  lo que he querido  compartir con todos  ustedes este artículo publicado por el medio Listín Diario de la fecha de hoy viernes 25 de agosto del 2023, que se refiere a un género musical muy popular  en Latino américa, incluyendo, por supuesto, a República Dominicana.

Sin embargo, creo que muy pocos dominicanos no conocen al conjunto que se formó como las Estrellas de Fania o (Fania All Star). Su  popularidad fue tal, que fue llevada al cine , con un buen rating en asistencias a las salas de la época  de cines en todo el territorio de República Dominicana.


 

 


24 de agosto de 2023

Tormenta Franklin se aleja del R. Dominicana, después de cruzar su territorio, Sur a Norte.

 

Foto de Franklin después de cruzar el territorio de República Dominicana e internarse en aguas del Océano Atlántico, al Norte de la costa Atlántica  

De acuerdo a ONAMET , la ubicación de  Franklin en la madrugada de hoy, 24 de agosto de 2023,  después de  atravesar  el  territorio  de República  Dominicana e ingresar a las aguas del  Océano Atlántico, es la mostrada en la foto. Frankling  a su paso por nuestro territorio, ha dejado abundantes lluvias,  inundaciones,pero un muy  bajo saldo de víctimas mortales. Sin embargo, el fenómeno afectaciones en el ámbito de las obras públicas como son los  caminos vecinales,las carreteras y otras instalaciones como son las viviendas y otras instalaciones  en  partes del país.  

En estos momentos, la tormenta se localiza su centro en aguas del Océano Atlántico, al Norte de la ciudad de  Puerto Plata.  De todos modos, manténgase  bien pendiente y de seguimiento a las instrucciones provenientes de los organismos gubernamentales,  dirigidas a preservar vidas y propiedades.

Finalmente, felicitamos a las autoridades del país que  hicieron una inmensa labor durante el evento de la tormenta Frankling. Ellos  asumieron su rol de manera oportuna y eficiente. Comenzando por el  Honorable Sr. Presidente de la República  Dominicana Lic. Luis Abinader C., la eficientísima  Ing, Gloria Ceballos, Directora de Meteorología, así como al Mayor General Juan Manuel Ménade García, quienes no escatimaran esfuerzos ni tiempo para , brindar al país las informaciones pertinente,  de manera clara y oportuna en relación a la Tormenta Franklin.   

A pesar de todo, no nos descuidemos en ningún momento  y mantengámonos, muy pendiente a  las informaciones, sobre Franklin,  provenientes de los organismos oficiales como ONAMET y el COE, Defensa Civil,  entre otros.  

  Ignacio Mullix  8:25 a.m.

 

 

 

23 de agosto de 2023

Radares meteorológicos de Punta Cana y Barahona haciendo su trabajo

 


República Dominicana no se ha quedado atrás. Nuestro país también utiliza tecnología radar, desarrollada para dar seguimiento a los fenómenos meteorológicos. Vista del mapa de la formación de nubes en diferentes áreas del país,  temprano en la mañana de hoy. 

Un radar meteorológico, o radar meteorológico, es un tipo de radar utilizado por los servicios meteorológicos, para dar seguimiento a la condición del tiempo y así brindar un servicio más certero al público. Su objetivo es  localizar condiciones adversas en el tiempo, así como localizar  precipitaciones, calcular sus trayectorias y estimar su proyección en el espacio, incluyendo lluvianievegranizo), así como otros elementos que pudieran  incidir  en el estado del tiempo, en un momento dado. 

Además, los datos tridimensionales, extraído de ese sistema radar,  pueden analizarse para calcular la estructura de las tormentas, su potencial, su posible  trayectoria y estimado de posibles daños  a la propiedad.

En sus continuo barridos en los 36o grados de giro, estos sistemas presentan, en la pantalla los del sistema, los ecos radar de las precipitaciones, lo que permite estimar el potencial de las mismas, asi como calcular la velocidad de traslación de los sistemas  en las zonas bajas de la atmósfera.

​Algo de historia. El Radar Meteorológico no es cosa de ayer, ya en el 1953,  Donald Staggs, ingeniero eléctrico norteamericano, realizó  las primeras observaciones meteorologicas extraidas de un sistema radar. Sin embargo, entre los años  1950 y 1980, los radares de reflectividad (Radares que dan posición e intensidad de la lluvia) se desarrollaron y construyeron, con exitos,  para ser utilizados en los servicios meteorológicos de países muy desarrollados. 


Con anterioridad a la operacion de los radares doppler meteorológico, los meteorólogos tenían que observar las nubes  con tubo de rayos catódicos. Sin embargo, en los años 1970, los radares se estandarizan y se organizan en redes. Entonces,  se desarrolla el primer artefacto para capturar imágenes de radar extraídas de campos nubosos. El número de ángulos escaneados sube para obtener vistas tridimensionales de la lluvia. Ademas, se mejoran los barridos horizontales y verticales.


Radar Doppler es aquel radar que usa el efecto Doppler en los ecos de retorno de blancos para medir su velocidad radial. Para ser más específico, la señal de microonda enviada por el haz direccional en la antena de radar se refleja hacia el radar y se comparan las frecuencias, arriba o abajo desde la señal original, permitiendo mediciones directas y altamente seguras de componentes de velocidades de blancos, en la dirección del haz. Los radares Doppler se usan en defensa aérea, control del tráfico aéreo, sondeo de satélites, radar policial de velocidad​ y en radiología.

Este fenómeno conocido como efecto Doppler lleva el nombre de Christian Andreas Doppler. Doppler fue un físico austríaco quien primero describe en 1842 como la frecuencia observada de la luz y las ondas sonoras estaban afectadas por el movimiento relativo de la fuente y del detector.

Esto es mayormente demostrado por el cambio en la onda sonora en un tren que pasa. El sonido de su bocina se hará "más alto" al irse aproximándose, y "más bajo" al alejarse. Esto se explica como sigue: el número de ondas sonoras que alcanzan el oído en un tiempo dado (esto se llama frecuencia) determina el tono percibido. El tono permanece igual tanto como el oyente y el tren no se muevan relativamente entre ellos. Al momento en que el tren se mueva hacia uno, el número de ondas sonoras alcanzando el oído en una cantidad dada de tiempo se incrementa. Así, el timbre de la sirena sube.

Esos sistemas han facilitado, de manera importante,  el estudios de la organización de las tormentas, comenzando a experimentar sobre señales de polarización dual y  el  Efecto Doppler (ver Radar Doppler). Entre 1980 y 2000, las redes de radares meteo son norma en Norteamérica, Europa, Japón y otros países desarrollados. Los radares convencionales son reemplazados por los Doppler para añadir información sobre velocidad. 

Como puede ver, República Dominicana, no se ha quedado atrás. Nuestro país  también ha asumido esa tecnología, para  la detección y  dar seguimiento a los fenómenos meteorológicos que afectan o pudieran afectar al país.


Nota al cierre; En estos momentos, los efectos de la tormenta se dejan sentir en gran parte del país. A esta hora se  siente un aumento de las precipitaciones y se nota el desborde de los ríos, por lo que se le pide a todos , que permanezcan atentos a las informaciones provenientes de los órganos oficiales que tienen que ver con estos tipos de eventualidades.